| 2013/11/05 |
|
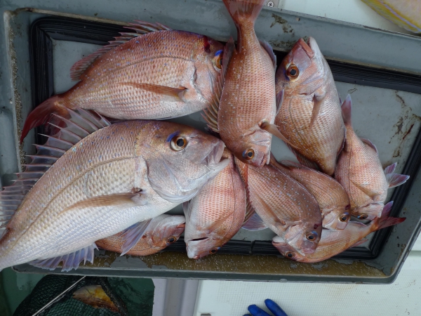
いろんな魚ちゃんが釣れました。。。 |
|
|
いろんな魚ちゃんが釣れました。。。w
拙宅では「ぬるぬる系のお魚ちゃん」は持ち込み禁止!!と相成っております。 ヨメが「さばきキラン!!」でスモンね!!と小生にプレッシャーをおかけに生られます。。。w
したがって、先日の釣行の際に釣れて頂きました、俗称「イラ!!ちゃん」は無論持ち込み禁止なのであります。
小生の釣行仲間でどえりゃぁぁぁぁ〜!!「イラちゃん」好きな仲間がいまして1kg超えのイラちゃんを釣った瞬間に「イラんならハイヨ!!」と 既に「嫁入り先」が決定してしまいました。。。w「 拙宅はと言いますと真鯛ちゃんを拙宅に連行いたしまして三枚におろしまして、さっきまで大海原で泳いでい 幼気でもない真鯛ちゃんをフライにしましてタルタルソースとウスターソースにまぶしまして焼きたてのパンにはさみまして 「フィレオフィッシュ」よろしく、真鯛フリャぁぁ〜バーガーを食してみました。。。
「極上!!」とはこの「真鯛フリャぁぁぁ〜バーガー!!」指すのでしょう。
口の中に「宇宙」が拡散いたしました。。。
素晴らしい!!「極上テイスト!!」でありました。
今回は写真はございません。。。爆!!
食べてしまってから「あっ、写真、撮っとらんだった!!」に気がつきました。爆!!
それくらい、旨かったっす。。。
本日は連休明けの11月で激忙殺されておりますのでこの辺で失礼させて頂きます。。。w
|
|
|
|
|
 |
|